Venta - Narón - Freixeiro - S070023
- 39.800 € Venta
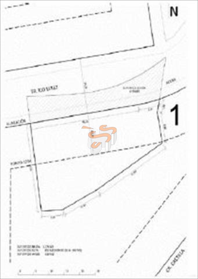
- Parcela 1182 m2
- Freixeiro
Cod S070023 Freixeiro.
Suelo urbano consolidado.
Calificación: residencial. Uso principal: residencial colectiva.
Superficie catastral: 1.444,00 m². Superficie registral: 1.182,00 m².
Altura permitida B + 3 + BC (13m). El bajo cubierta vinculado con la planta inferior.
Edificabilidad estimada: 2.413,00 m² t.
Nota: Este anuncio no es vinculante, puede contener errores, se muestra a título informativo y no contractual. El texto que se ofrece está destinado a su uso como instrumento documental. No tiene validez jurídica ninguna.
Características
- ReferenciaS070023
- Tipo de solarParcela
- Superficie1182 m2
- Edificable
- Registrada
- Tipo fincaLlana
- Alturas edificables5
- Metros registrados1182 m2
- Metros catastro1182 m2
- Metros fachada42 m
- Metros edificables855 m2
- Tipo suelo del solarUrbano
- Alcantarillado
- Agua de traida
- Luz
- Centro ciudad0 km
- Tipo de accesoBueno
- Tipo vía de accesoNúcleo de población
Ubicación
Es un sitio ideal para mí
¡Compártelo!





